Les prévisionnistes estiment que cette tempête de catégorie 4 pourrait provoquer des rafales atteignant 315 kilomètres par heure, ce qui en ferait l’un des cyclones les plus puissants à frapper le pays depuis dix ans.
Le cyclone Ilsa devrait toucher terre jeudi soir ou vendredi matin, entre les villes côtières de Broome et Port Hedland (nord-est), à environ 17 heures de route au nord de Perth, la capitale de l’Etat d’Australie-Occidentale.
– PUBLICITE –
Les navires de Port Hedland, l’une des principales plaques tournantes du transport de minerai de fer dans le monde, ont été mis à l’abri par précaution.
Le maire de la ville Peter Carter a déclaré à la chaîne nationale ABC que les vents destructeurs du cyclone, qui prend de l’ampleur dans l’océan Indien, pourraient transformer les débris volants en véritables « missiles (…) ce qui cause tous les dégâts, ce qui blesse les gens ». « Tout le monde est sur les nerfs », a-t-il ajouté.
Le Bureau de Météorologie a prévenu que les vents violents du cyclone seraient suffisamment puissants pour causer de nombreuses destructions en projetant « des caravanes » ou en arrachant des arbres ou des lignes électriques. Des crues soudaines sont également à craindre, selon l’agence.
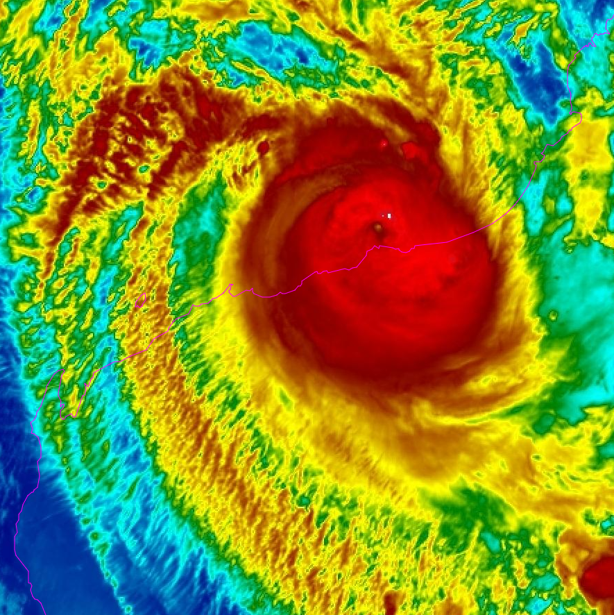
Severe Tropical #CycloneIlsa crossed the coast as a Category 5 system, about 120km ENE of #PortHedland around midnight on Thursday 13 April, with an estimated intensity of 213 kmh. Stay up to date with warnings at https://t.co/NikaX4QRKr and follow advice of @dfes_wa pic.twitter.com/SuiKcEU3Yf
— Bureau of Meteorology, Western Australia (@BOM_WA) April 13, 2023
La tempête devrait ensuite se déplacer vers l’intérieur des terres. Des alertes météorologiques sont en place sur une vaste étendue, peu peuplée, qui s’étend sur quelque 1 000 kilomètres depuis la côte jusqu’au désert de l’Outback.
Le département des services d’incendie et d’urgence de l’Etat d’Australie-Occidentale a déclaré qu’il « ne saurait trop insister sur le caractère extrême de ces conditions pour les habitants de la région ». Les chercheurs australiens ont à plusieurs reprises mis en garde contre l’impact du changement climatique sur le risque de catastrophes naturelles telles que les feux de brousse, les inondations et les cyclones.



