Les autorités philippines avaient auparavant augmenté le niveau d’alerte, redoutant des destructions majeures.
Des milliers de personnes ont fui leur logement dans les zones côtières septentrionales d’un pays régulièrement en proie à des désastres naturels.
Les habitants et commerçants de Luçon, la principale île des Philippines, qui compte des millions d’habitants, ont barricadé leurs fenêtres et consolidé leurs toits pour éviter qu’ils ne soient arrachés par les vents.
Vendredi soir, des arbres avaient été arrachés par de violentes bourrasques à Tuguegarao, une ville du nord de Luçon, où presque tous les commerces étaient fermés et où des patrouilles de police circulaient dans les rues.
L’agence météorologique gouvernementale a émis une alerte « signal quatre », le deuxième niveau le plus élevé pour les tempêtes, pour plusieurs provinces septentrionales de cette île. Cette zone est exactement située sur la trajectoire du typhon, d’un diamètre de 900 km, qui a traversé le Pacifique.
> « Risques d' »importants dégâts »
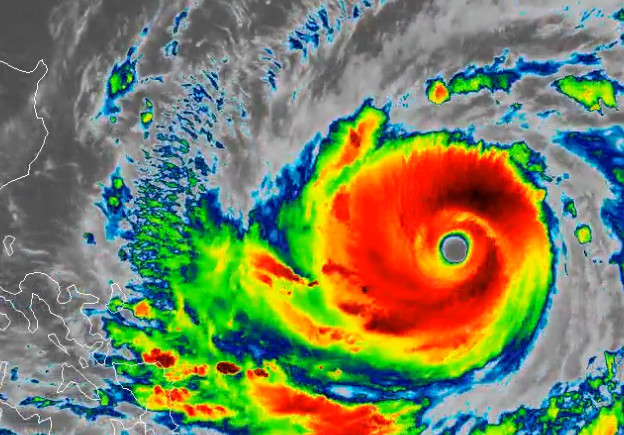
Dans le Pacifique, le super-typhon #Mangkhut s’approche des #Philippines en catégorie 5 🌀. Impressionnantes images via @weatherdakpic.twitter.com/Muqx34Yj2F
— Météo-France (@meteofrance) 14 septembre 2018
« Parmi tous les typhons cette année, celui-ci (Mangkhut) est le plus fort, les vents qui l’accompagnent sont les plus violents », a dit à l’AFP le prévisionniste de l’Agence météorologique japonaise Hiroshi Ishihara.
« On pourrait avoir des vagues hautes comme un bâtiment de quatre étages », a déclaré à l’AFP Michael Conag, le porte-parole de la défense civile locale. « Des maisons pourraient être détruites, surtout les habitations faites de bric et de broc qui sont les plus nombreuses dans les zones côtières ».
Les paysans de la région, qui produit une partie non négligeable du maïs et du riz aux Philippines, se précipitaient pour ramasser des récoltes, celles-ci étant susceptibles de se retrouver sous les eaux.
Les autorités « disent que ce typhon est deux fois plus fort que le précédent, nous sommes terrifiés », confie à l’AFP Myrna Parallag, après avoir quitté sa maison dans le nord de l’archipel.
Cette habitante de 53 ans avait vu sa maison inondée par un typhon en 2016 : « On a tiré les leçons de la dernière fois. L’eau avait atteint le plafond », raconte-t-elle.
Au moins quatre millions de personnes se trouvent sur la trajectoire directe de Mangkhut, qui devrait ensuite se diriger vers le sud de la Chine, y compris le territoire semi-autonome de Hong Kong.
> Une vingtaine de typhons par an
Les Philippines sont frappées chaque année par une vingtaine de typhons qui font des centaines de morts et aggravent la pauvreté de millions de personnes.
Une alerte « signal quatre » avait aussi été émise pour Haiyan, le typhon le plus meurtrier à avoir touché les Philippines, en novembre 2013, avec des vents dépassant les 315 km/h.
Des vagues géantes, semblables à celles provoquées par un tsunami, avaient tout dévasté sur leur passage. La catastrophe avait fait plus de 7 350 morts ou disparus et privé de logement plus de quatre millions d’habitants.
L’Observatoire météorologique de l’ex-colonie britannique de Hong Kong a exhorté à la prudence, expliquant que la tempête constituait une « menace considérable ».
Les services météo de Taïwan ont prédit que la tempête serait la plus proche de l’île samedi, causant de fortes pluies sur le sud et l’est, mais ont souligné qu’il était peu vraisemblable que cette île soit directement touchée.



